第07章 北野政次的罪迹(第2/6页)
这里是解剖室。长方形箱子是存放用防腐液浸泡过的尸体的“棺材”。隔壁是停尸间,有许多尸体,还没有进行充分的消毒处理,所以不能参观。他告诉我们,桌子上陈列的许多标本是人脑的切片。这使我们惊讶不巳。
作为用显微镜观察的标本而被固定了的人脑切片,经过染色、蜡浸之后,像冰冷的黑色矿物的碎片一样。我马上联想起调味用的干松鱼片。这简直就是用人体造的“干松鱼片”。
这些大脑标本,是否是从活人身上釆集的呢?这像是把新鲜的鲣鱼的肉,干燥后制成的标本。也许是用活人制成的脑标本。当周先生拿给我们看一篇题为《中国北方人大脑皮质……》的研究论文时,这个问题得到了证实。这篇论文的作者和标本的制作者是“满洲医科大学解剖教研室”的竹中义一、大野宪司、铃木直吉、五十岚稔、土岐胜人等日本医学家。
在这些论文中,竹中义一是漫不经心或是有意地写着:“……经常有机会获取极为新鲜的、健康的,特别是没有精神病病历的中国北方人的大脑……”
周先生还向我们提供了另一个证据,那就作为日本仙台帝国大学解剖学研究成果,伪满洲医科大学解剖学教研室主任铃木直吉教授1942年用英文发表的论文《中国人脑髄的组织研究》。在这篇论文的第二节“材料与方法”里写道:“头部细胞学构造的研究,是切下一个个脑细胞来进行的。每个标本卡片都是用智力正常,没有生理疾病,健康的中国成年男子的脑髓制成的。”周先生还讲了当时在“满洲医科大学解剖学教研室”当勤杂工的张佩清先生的回忆,他曾亲眼见过当场对8个活人进行解剖的情景。这些在本多胜一先生写的《中国之旅》一书中已详细介绍过,这里不再赘述。
伪满洲医科大学的前身,是日本在1911年创建的以“研究中国医学”为幌子的“南满医学堂”,1922年改称“满洲医科大学”,成为以中国人为实验材料的日本军事医学的发祥地。
走出解剖学教研室,我们来到了被校舍环绕的院子里。在院子一角的地上有一个像水泥箱子般的突出物,从外观上看,就像公共住宅区的垃圾集聚处。入口处有个嵌着铁栏杆的门,推开后就是通往地下室的台阶。
北野式的生灵怜悯令
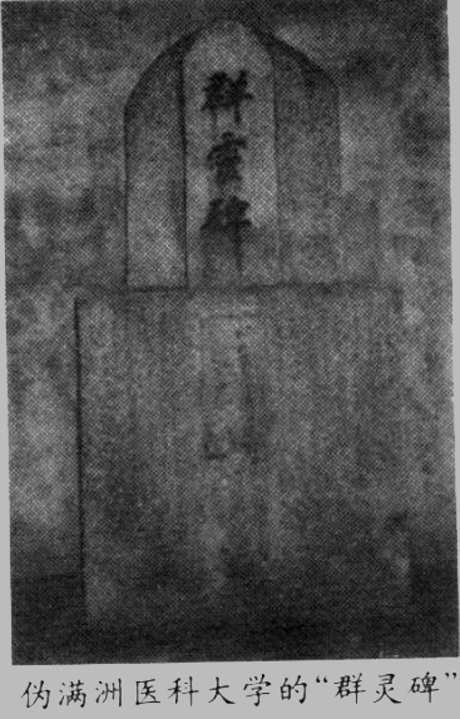
下到台阶底下,有一个小地下室。天花板很矮,两侧的墙壁上设有三层水槽似的水泥隔板。我想起我们在平房见过同样的地下室。不同的是,在里面的墙上建有一个刻着“群灵碑”的船形二层石塔。走近一看,基石上嵌着一块刻有“昭和十六年(1941年)十二月二十八日建立,北野政次”字样的铜牌。
周先生说:“这个地下室是北野饲养实验动物的地方。在这里专门饲养‘满洲’产的灰田鼠。地下室的温度保持在适宜灰田鼠生存的15℃左右。北野发现,使小动物在黑暗恒温的地下室里处于半冬眠状态后,注射斑疹伤寒菌,就能很快地发病。北野巧妙地利用小动物的生理周期来生产斑疹伤寒疫苗。

根据周先生的介绍,我们才弄清楚平房地下室的真正用途。当时估计为”弹子仓库“的地下室,其实是饲养实验用小动物的饲养室。

周先生还说:“北野给13名中国人注射了大概是在这地下室里培养的斑疹伤寒菌,并且进行了人体实验,残杀了5个人。北野在自己的论文里还介绍了这一实验。把活人当做实验品,良心却不受任何谴责的北野,竟然会为供实验用的灰田鼠立碑。”
听了周先生的讲解,我联想起德川纲吉的“生灵怜悯令”。没有子嗣的纲吉,从生母桂昌院所崇信的隆光那里得知“没有儿子是前世杀生太多的报应”的说法。他为了消除自己业障而发布了世界上最可恶而愚蠢的法令——“生灵怜悯令”。为了慰藉实验动物灵魂建立“群灵碑”,这种想法与动物的生命优于人类的观点是相同的。他们两人的罪孽不同:纲吉是出于迷信,而北野则是在探索医学的过程中践踏了医学者所应有的理念。